Ref : 730lc_BA
Location Local d'activités
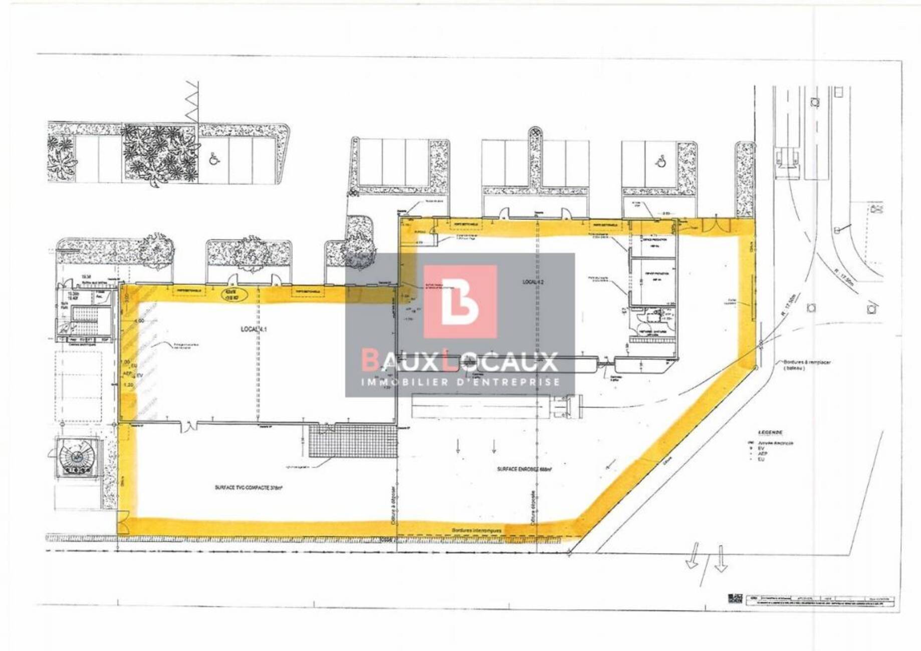
LOCAL ACTIVITES/ENTREPOT A LOUER
Saint-Martin-de-Crau (13310)
Loyer : 41 664 € / an
Surface 434 m²
Description du bien
Saint Martin de Crau, location d'un local d'activités/entrepôt d'environ 434 m², avec porte sectionnelle de 3.50X3.50 hauteur 6.50 sous poutre, dalle béton, sanitaires. Elévation en béton cellulaire, charpente métallique, toiture isolée, menuiseries aluminium teintées. Extérieur privatif d'environ 400 m².
Situé à 2 minutes de la sortie d'autoroute A54, entre Salon de Provence et Arles, ce bien se trouve dans une zone artisanale, commerciale et de bureaux. Parkings à disposition.
Prestations du bien
- Hauteur sous ferme : 6.50
- Parking Extérieur
- Porte sectionnelle 3.5X4
- Terrain bitumé
- Toiture isolée
- Accès personnes à mobilité réduite
- Aire de manoeuvre
- Bardage isolé
- Parking
- Sol dalle béton
Informations financières
- Charges minimales : 2 604 €
- Bail : Commercial 3/6/9 ans
- Taxe foncière : 4 155 €
- Dépôt de garantie : 2 mois de loyer HT/HC
Ce local professionnel vous est présenté par
Vous souhaitez nous joindre ?
Localisation et accessibilité
- Autoroute: Proximité immédiate de l'A54










































































