Ref : 95_0548_IN
Location Local d'activités
LOCAL D'ACTIVITE A LOUER
Cormeilles-en-Parisis (95240)
Loyer : 39 600 € / an
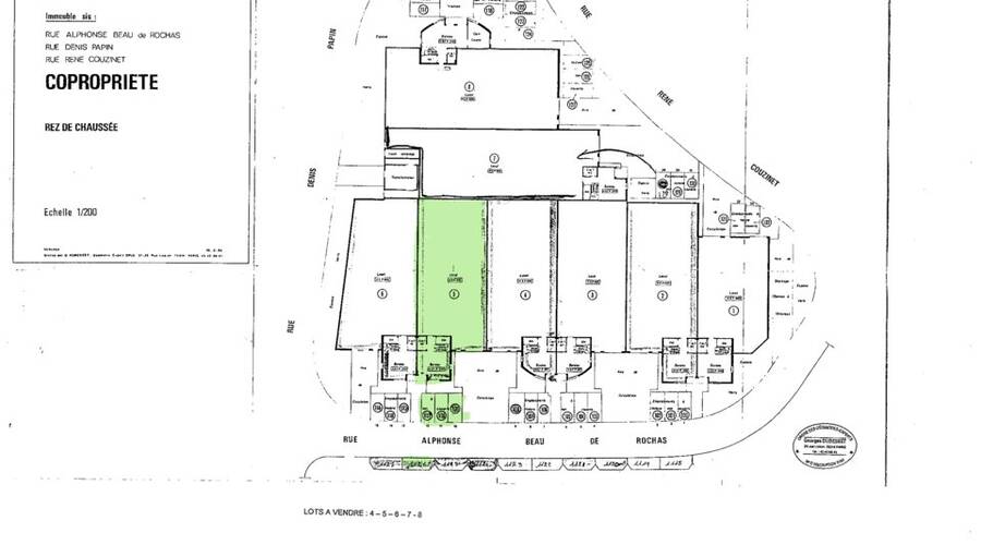
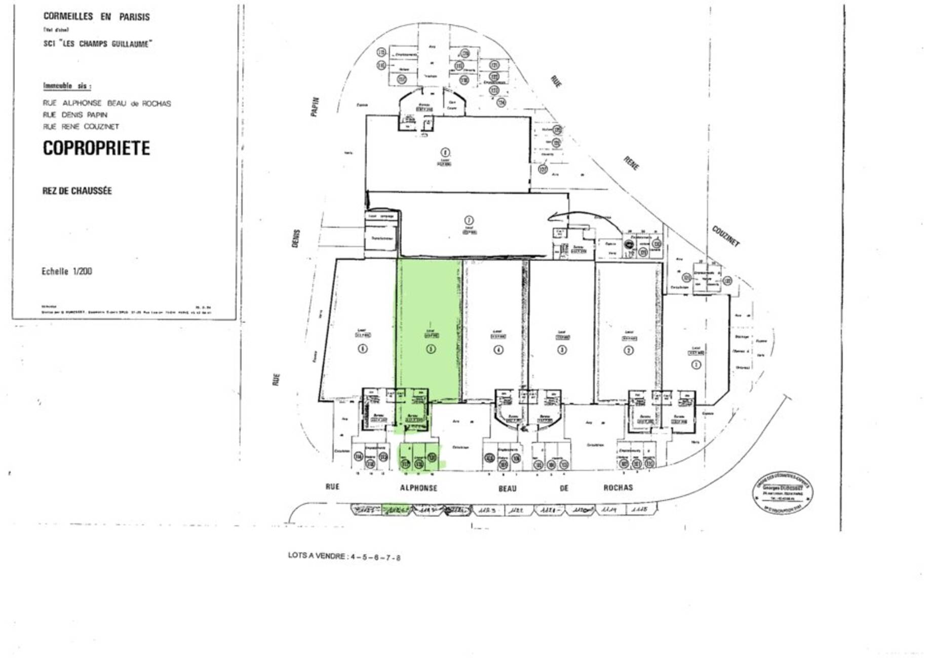
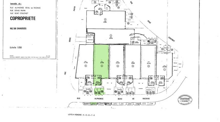
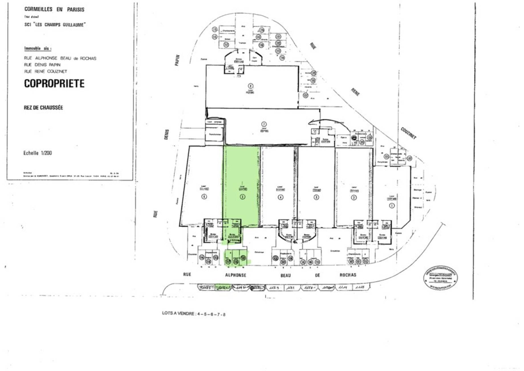
Surface 360 m²
Description du bien
Idéal pour une entreprise en recherche de flexibilité et d'espace, INVEST CONSEIL vous propose à la location un local de 360 m² parfaitement adapté à vos besoins professionnels situé à CORMEILLES EN PARISIS.
Les + :
- Bonne situation géographique
- Luminosité naturelle
- Proche commerces et restaurants
Prestations du bien
- Accès poids lourds
- Accueil
- Aérothermes électriques
- Aire de manoeuvre
- Eclairage extérieur
- Espaces verts
- Faux plafond
- Fibre optique
- Goulotte technique
- Hauteur sous plafond : 5,50 m
- Parkings 5
- Porte sectionnelle : 4,50 m (h) x 3,50 m (l)
- Puissance électrique : 380 V
- Revêtement sol anti-poussière
- Revêtement sol en moquette
- Sanitaires privés
- Structure en béton
- Système de désenfumage
- Toiture bac acier
- Déstratificateur
Informations financières
- Charges minimales : 2 200 €
- Bail : Commercial 3-6-9 ans
- Taxe foncière : 5 200 €
- Dépôt de garantie : 3 mois de loyer HT/HC
Ce local professionnel vous est présenté par
Vous souhaitez nous joindre ?
Localisation et accessibilité
- Bus: RER A
T2 - Arrêt Bezons
Nombreuses lignes de bus - Autoroute: A15 / A86
| Batiment - Lot | Etage | Type | Surface totale (en m2) | Emplacement(s) de parking | Loyer annuel HT/HC | Provision annuelle pour charges et taxes HT | Disponibilité |
| Lot n°5 | Local d'activités / Bureaux | 360 | 5 | 39 600,00 € | 7 880,00 € | immédiate | |
| RDC | Activités | 280 | |||||
| RDC | BureauX | 40 | |||||
| R+1 | Bureaux | 40 |



































